BBC News
Od Katrine do Erina: Najekstremniji uragani u istoriji
- Stiven Doling, Izabela Geretsen, Ričard Grej, Katrin Latam, Džoslin Timperli - BBC Budućnost
- 29.08.2025. 05:41
- ( 0 )
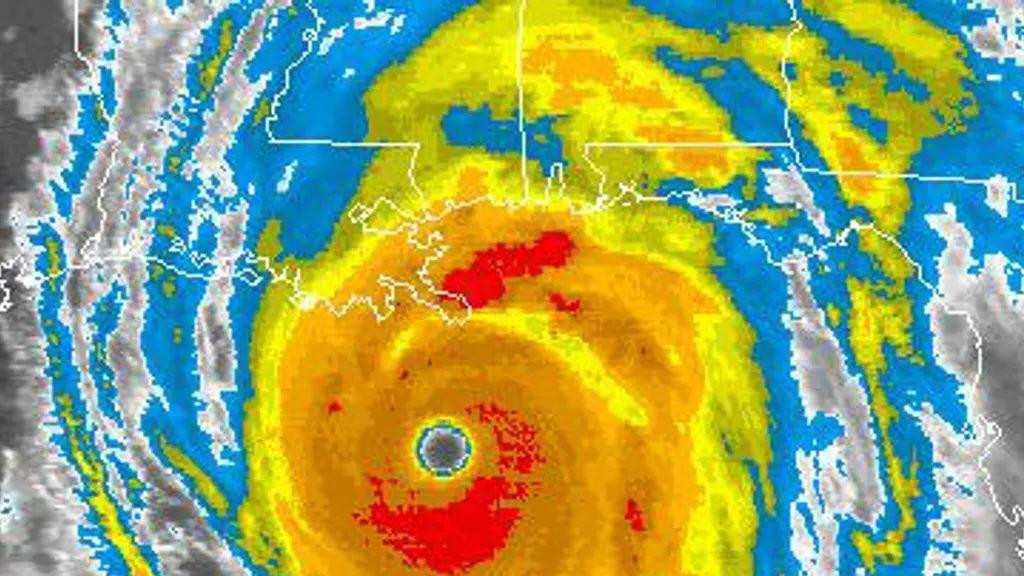
uragan erin
Uragani sve više obaraju rekorde po intenzitetu i razaranju koja uzrokuju. Dajemo pregled nekih od najmoćnijih oluja u istoriji.
Prošlo je 20 godina otkako je uragan Katrina pogodio jugoistočni deo savezne američke države Luizijane - u katastrofi do tada nezamislivih razmera stradalo je 1.833 ljudi.
Zbog oluje, koja je Nju Orleans zahvatila 29. avgusta 2005. godine, najveći deo grada je bio pod vodom, a stanovnici su ostali bez struje, hrane i krova nad glavom.
„Moj grad Nju Orleans je u potpunom haosu", rekla je tada za BBC stanovnica Vindi Sebren.
„Moj život u Nju Orleansu je za sada završen, moram da počnem sve iz početka".
Katrina je nesumnjivo jedna od najgorih katastrofa koje su pogodile Sjedinjene Države (SAD).
U ovom tekstu podsećamo na uragan Katrinu i nekih druge moćne i razorne uragane u istoriji.
Pogledajte video: Da li uragani postaju sve razorniji
Najviše stradalih: Veliki uragan 1780. godine
Posle sparnog dana na Barbadosu tog 9. oktobra 1780. godine, tokom noći je počela da pada kiša.
Ujutru je počeo da duva povetarac, a do šest sati po podne uragan je svom snagom pogodio ovo karpisko ostrvo.
Poznat je kao Veliki uragan i najsmrtonosniji je atlantski uragan koji je zabeležn.
Procenjuje se da je broj žrtava bio između 20.000 i 27.500.
Brzina vetrova je verovatno bila veća od 322 kilometra na sat, koji su pravili toliku buku da ljudi nisu mogli da čuju sami sebe.
Malo šta je ostalo osim „blata, ruševina, uginule stoke, i trulih leševa".
Nakon što je poharao Barbados, Veliki uragan je krenuo ka Martiniku, Svetoj Luciji i ostrvu Svetom Eustahiju.
Talasi visoki i do sedam metara odneli su cela sela, a čitave flote britanskih i francuskih ratnih brodova su nestale u okeanu, zajedno sa hiljadama ljudi na njima.
Najsmrtonosnija oluja u istoriji SAD-a bio je urgana Galveston 1900. godine
Prešao je iznad Meksičkog zaliva i dostigao jačinu oluje četvrte kategorije pre nego što je 6. septembra udario u Galveston, u Teksasu.
„Nailazili smo na toliko tela da sam morao da nosim štap sa šiljatim vrhom da ih uklanjam sa puta...
„Bilo je to nešto najstrašnije što sam ikada video", izjavio je tada preživeli ribar.
Procenjuje se da je oluja uzrokovala smrt između 6.000 i 8.000 ljudi.
Još smrtonosnije oluje su besnele izvan Atlantskog okeana, gde se ovakve pojave ne zovu uragani, već cikloni ili tajfuni.
Ciklon Bhola je 1970. godine pogodio severoistočnu Indiju i tadašnji Istočni Pakistan (današnji Bangladeš).
Izazvao je talase visine 10,5 metara.
Veruje se da je ukupno stradalo i do 500.000 ljudi.
Najrazorniji uragani: Katrina i Mič
Procena štete od uragana zavisi koga pitate.
Za ljude koji izgube dom, sredstva za život i najmilije, ta oluja je razorna.
Ali računamo isključivo uništena imovinu, izdvajaju se dva uragana - Katrina i Mič.
Glavni razlog što se uragan Katrina smatra najskupljim u istoriji jesu ogromna razaranja koja je uzrokovao širom jugoistočnih delova SAD-a.
Procenjuje se da je između 217.000 i 300.000 domova uništeno ili toliko oštećeno da u njima više nije moglod da se živi.
Vetrovi brzine do 225 kilometara na sat pogodili su jugoistočni deo Luizijane.
Talasi izazvani olujom bili su između 7,6 i 8,5 metara viši od uobičajenog nivoa plimnog talasa duž obale Misisipija, i između tri i 6,1 metara iznad uobičajenog nivoa plimnog talasa duž obale Luizijane.
U Nju Orleansu, moćni talasi su probili zaštitne nasipe.
Skoro 80 odsto grada bilo je pod vodom koja je dostizala dubinu do šest metara, dok je 59 tornada koji su nastali iz oluje prouzrokovalo štetu u još osam saveznih američkih država.
Zbog ovakvih razaranja, Katrina je najskuplji uragan ikada zabeležen u Americi.
Ukupna šteta, prilagođena vrednosti u 2024. godini, procenjena je na 201,3 milijarde dolara.
Posle Katrine, drugi najskuplji uragan je Harvi, koji je u Teksasu i Luizijani uzrokovao štetu od 160 milijardi dolara.
Sedam godina ranije, uragan Mič izazvao je razaranja skoro istih razmera kao Katrina, iako ona u Americi nije bila velika.
Uništeno je 645 kuća na Floridi.
Međutim, Mič je prethodno, dok je besneo širom Centralne Amerike, pogodio Honduras, gde je uništio čitave zajednice.
Ova oluja je bila pravo čudovište, uragan pete kategorije, koji i danas nazivaju jednom od najsnažnijih zabeleženih oluja.
Do trenutka kada je stigao do Hondurasa, Mič je oslabio na uragan prve kategorije, ali kada je stigao do kopna, zadržao se iznad Hondurasa i danima izbacivao ogromne količine padavina.
Usledile su poplave i klizišta u kojima je život izgubilo između 10.000 i 19.000 ljudi u Hondurasu, Nikaragvi, Gvatemali, Belizeu, i Salvadoru.
Najmanje 200.000 domova je uništeno ili teško oštećeno.
Samo u Hondurasu je uništeno 70.000 domova i 92 mosta, a čitava sela su progutale bujice blata koje se slivalo niz planinske padine.
Ujedinjene nacije (UN) su procenile da je ukupno više od pola miliona ljudi ostalo bez krova nad glavom.
Najveće brzine vetra
Razumno je pretpostaviti da su najsnažnije oluje ujedno i one koje odnose najviše života i uzrokuju najveću štetu.
Međutim, to nije uvek slučaj.
Uragan Patriša bio je 24. oluja u sezoni 2015. godine i formirao se u blizini zaliva Teuantepeka, na jugu Meksika.
Povoljni uslovi omogućili su da u samo 24 sata iz tropske oluje preraste u uragan pete kategorije.
Patriša je 23. oktobra razvila najveću brzinu vetra od neverovatnih 356 kilometara na sat koja je izmerena iz aviona u letu (na tlu su izmerene brzine od 338 km/h), koja se održala 10 sekundi.
To je bila najveća ikada izmerena brzina vetra na zapadnoj hemisferi, koja je bila snažna kao i jedan od najmoćnijih tajfuna u istoriji - Nensi iz 1961. godine.
Srećom, putanja Patriše je prolazila kroz ređe naseljene oblasti Meksika i zaobilazila je velike gradove, zbog čega je broj žrtava bio mnogo manji.
Takođe, naglo je oslabila kada je stigla do obale Meksika, iako su tada izmerene brzine vetra i dalje bile i do 265 kilometara na sat.
Planinski teren Meksika dodatno je oslablio Patrišu, pa je do 24. oktobra oluja gotovo iščezla.
Uprkos snazi Patriše, broj žrtava bio je iznenađujuće mali.
Prema podacima američke Nacionalne uprave za okeane i atmosferu, dvoje ljudi je nastradalo neposredno u oluji, a četvoro od njenih posledica.
- Zašto uragani postaju razorniji i opasniji
- Kako El Ninjo i La Ninja menjaju vremenske prilike
- Kako zoološki vrtovi štite životinje od uragana
Brzo intenziviranje
Erin je prvi uragan na Atlantskom okeanu u sezoni 2025. godine, koji se od ove nedelje kreće uz obalu Amerike, zbog čega su meteorološke službe upozorile surfere na izuzetno jake vodene struje koje odvlače od obale.
Smatra se da je Erin jedan od uragana koji se najbrže intenzivira tako rano u sezoni.
Najjače oluje se obično javljaju kasnije tokom godine, posle 1. septembra.
Za nešto više od 24 sata, Erin je od uragana prve porastao u oluju pete kategorije, a potom je oslabio na oluju druge kategorije.
Prema definiciji Nacionalne meteorološke službe SAD, brzo intenziviranje je povećanje maksimalne stalne brzine vetra tropskog ciklona za najmanje 55 kilometara na sat u periodu od 24 sata.
Uragani koji se tako brzo intenziviraju mogu da predstavljaju posebnu opasnost jer ljudima ostavljaju manje vremena da se zaštite.
Erin nije jedina oluja koja se poslednjih godina tako brzo intenzivirala.
Uragan Milton je 2024. godine postao najbrža atlantska oluja koja je od tropskog ciklona prerasla u oluju pete kategorije.
Iste godine, Beril je iz tropskog ciklona prerastao u uragan, i postao atlantska oluja koja se najbrže intenzivirala u junu ili početkom jula.
A 2023. godine, uragan Li i uragan Džova su iznenadili naučnike naglim intenziviranjem, posebno jer su se obrazovali tokom fenomena El Ninja, koji obično smanjuje aktivnost uragana na Atlantiku.
Naravno, uragani su se oduvek intenzivirali različitim brzinama.
Još dva atlantska uragana - Feliks 2007. i Vilma 2005. godine - takođe su poznati po izuzetno brzom intenziviranju.
Istraživanja pokazuju da se stopa intenziviranja oluja značajno povećava poslednjih godina usled globalnog zagrevanja, i da će se taj trend nastaviti.
Uzrok tome su sve toplija mora preko kojih prolaze ove oluje.
Na primer, Erin je prošao iznad voda koje su u proseku bile 1,1 stepen Celzijusa toplije usled klimatskih promena.
Pogledajte video: Šta je vreme, a šta klima
BBC na srpskom je od sada i na Jutjubu, pratite nas
Pratite nas na Fejsbuku, Tviteru, Instagramu, Jutjubu i Vajberu. Ako imate predlog teme za nas, javite se na [email protected]
- Kako nastaju uragani i zašto su toliko česti u Americi, Meksiku i na Karibima
- Zašto atmosferske reke postaju sve razornije
- „Biblijska katastrofa": Više od 200 ljudi poginulo u uraganu u Americi
- Blizu 100 ljudi i dalje se vodi kao nestalo posle uragana Helen u Americi
- Policajka u Meksiku podojila gladnu bebu druge majke posle uragana Otisa
- Najjači uragan na Atlantiku u 2020. godini pogodio kopno
